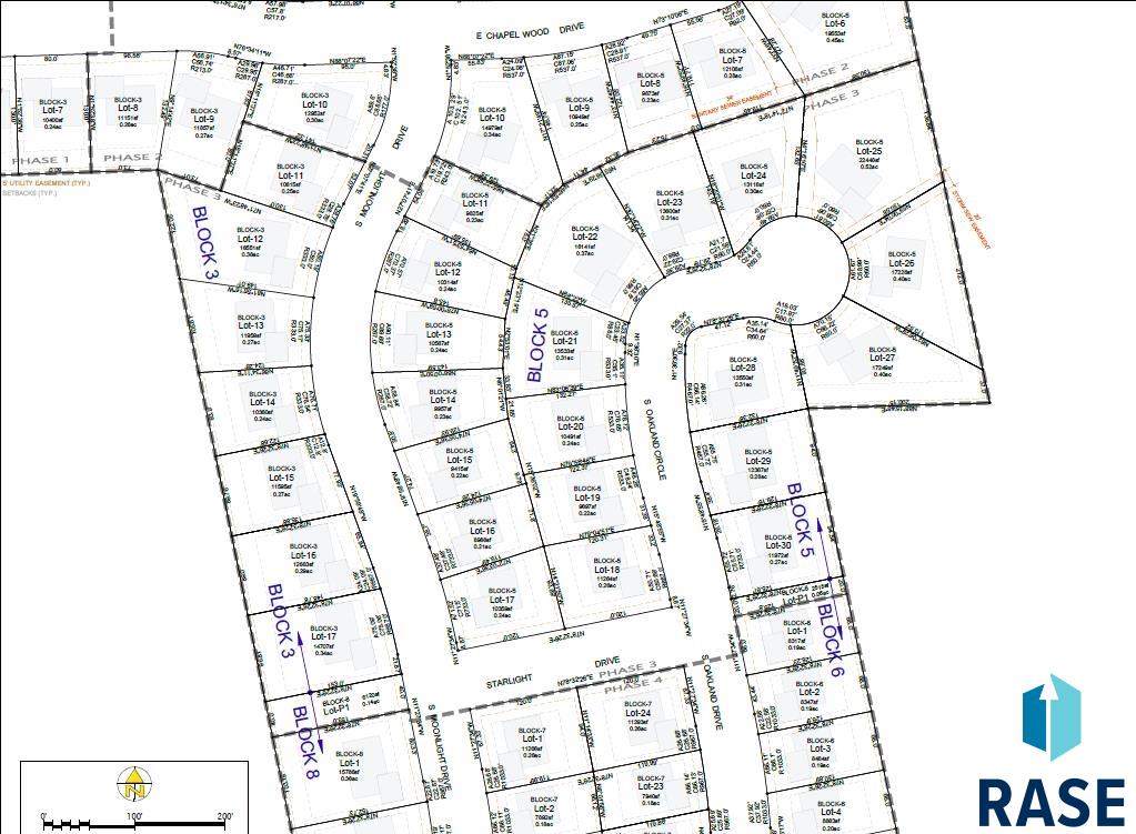
Building EligibilityLandSouth DakotaMinnehaha CountyBrandon570051108 S Moonlight Cir, Brandon, SD 57005, USA
1108 Moonlight Dr
1108 S Moonlight Cir, Brandon, SD 57005, USA
$95,900
Request info
Basics
- Status: Active - Active
- Type: Land
- Category: Building Eligibility
- Sale Or Rent: S
- Date added: Added 2 months ago
- MLS ID: 22508238
- Days On Market: 136
- Address: 1108 S Moonlight Cir, Brandon, SD 57005, USA
Schools
- School District: Brandon Valley 49-2
- Elementary: Brandon ES
- Middle: Brandon Valley MS
- High School: Abraham Lincoln HS
- High School District: BrandonVal
- Middle Or Junior School District: BrandonVal
Agent
- AgentID: 765511386
- AgentEmail: cdigroupsd@gmail.com
- AgentFirstName: Justin
- AgentMI: R
- AgentLastName: Oakland
Location
Building Details
- Water Source: Public
- Parcel Number: TBD
- Utilities: Cable Available, Natural Gas Available, Electricity Available, Sewer Available, Phone Available
- Sewer: Public Sewer
- Lot Features: Irregular Lot, City Lot, Less Than One Acre, Level
- Subdivision Name: TWIN RIVERS CROSSING ADDITION TO CITY OF BRANDON (TwnRvrCrs)
Ask an Agent About This Home
This Land style property is located in Brandon is currently Building Eligibility and has been listed on Harr and Lemme | Real Estate | Sioux Falls. This property is listed at $95,900. It has bedrooms, bathrooms, and is . The property was built in year.